南宁市龙潭水库二○一七年防洪抢险应急预案(草案)
编制本预案的目的是最大限度地避免和减少因洪水造成的人员伤亡,减少因灾害造成的损失。
编制防洪预案,采取各种防洪措施,力争标准内洪水水库工程和水库下游人民安全度汛。做好防御超标准洪水的各项准备工作,当水库发生超标准洪水时杜绝跨坝事故、尽量避免人员伤亡、减轻财产的损失。
本预案的编制依据是《中华人民共和国防洪法》、《中华人民共和国防汛条例》、《水库大坝安全管理条例》、《广西水库水电站防洪抢险应急预案编制指南》(2014)等有关法律、法规、规章以及有关技术规范、规程和经批准的水库汛期调度运用计划。
(1)贯彻“安全第一、常备不懈,以防为主、全力抢险”的防汛方针;执行行政首长负责制;防汛工作分级分部门负责制、水位分级负责制、工程技术人员技术负责制。
(2)全面动员全社会力量投入防灾减灾工作,全面部署,保证重点,统一指挥,统一调度,服从大局,团结抗洪。
(3) 以气象水文信息为基础,工程措施和非工程措施相结合,立足防大汛、抢大险、抗大灾,确保水库安全度汛。
根据龙潭水库工程的实际情况以及不可估计可能发生的自然灾害需要启动本预案。
本预案适用于水库出现如下险情:
(1)挡水建筑物:如发生严重的大坝裂缝、滑波、管涌以及漏水、大面积散浸、集中渗流、决口等危及大坝安全的可能导致垮坝的险情。
(2)泄水建筑物:如紧急泄洪时溢洪道两边侧墙倒塌,泄洪槽底部严重冲刷等危及大坝安全的险情,输水洞严重断裂或堵塞,大量漏水浑浊,启闭设备失灵等可能危及大坝安全的险情。
(3)如水库库区内发生超过设计的校核标准的洪水危及水库大坝的安全。
(1) 本预案由龙潭水库管理所负责组织编制,经江南区防汛抗旱指挥部审查,报江南区人民政府审批,并报南宁市防汛抗旱指挥部备案。
(2)本预案封面应明确预案版本编号、编制单位与编制日期、批准部门与批准日期。
(3)本预案应根据情况变化,适时作出修订,每年汛前上报备案。有重大变动的,需提请原批准单位重新批准。
龙潭水库位于南宁市江南区沙井街道金鸡村,所属流域为珠江流域西江河系邕江支流龙潭河上游。水库库区位于国营七坡林场范围内,水源主要由低山丘陵汇集雨水形成。
水库下游的村庄包括:金鸡村七队、九中农场、金鸡村金堂坡、何屋坡、马草坪坡、大岸坡、白坟坡等500约2500人,水库下游的重要设施包括:七坡林场龙潭站、金鸡小学、金鸡火车站、石埠矿站、南昆铁路、南凭铁路干线等。水库一旦失事会给下游群众的生命财产带来严重威胁,并对铁路干线造成破坏性冲击,对下游从水库至邕江段河道的左右岸剧烈冲刷,将使1.5万余人、2万头牲畜断绝饮水,近万亩农田无水灌溉,造成极大的经济损失和社会影响。
2.2.1.1 建设时间
水库于1957年兴建,1958年竣工,并于1965年、1971年、1981年、1989年、2002年2008年进行了六次扩建加固,第六次除险加固工程于2010年11月完成主体工程投入使用验收。龙潭水库水工建筑物级别为Ⅲ级,洪水标准为100年一遇设计、1000年一遇校核。
2.2.1.2 水库特征
现水库集雨面积为75.94平方公里,总库容1380万立方米,兴利库容902万立方米,防洪库容408万立方米,死库容70万立方米。水库校核洪水位(0.1%)103.16米,设计洪水位(P=1%)102.38米,正常水位99.90米,死水位84.90米。水库设计灌溉面积1.9万亩,现实际灌溉面积0.68万亩。
2.2.1.2 枢纽建筑物
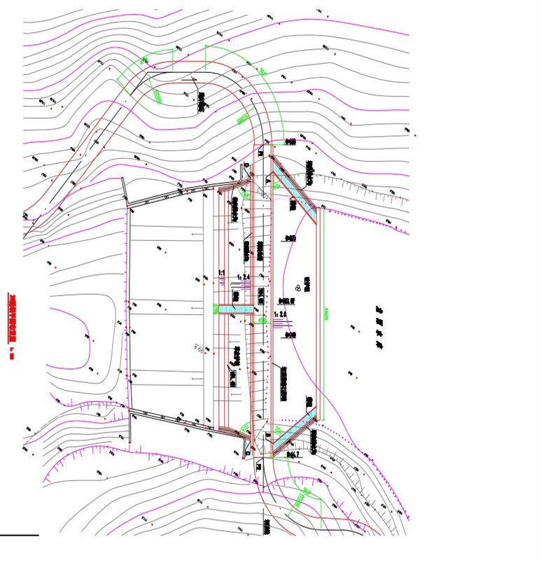
龙潭水库枢纽建筑物由主坝、一副坝、二副坝、第一溢洪道、第二溢洪道、放水塔和输水隧洞等组成。大坝一座(均质土坝),坝类一类,坝高为30米,坝顶高程104.70米;副坝两座,一副坝坝高7.6米,坝顶高程104.46米,二副坝坝高5.1米,坝顶高程104米;溢洪道两座,堰顶高程均为99.90米,最大总泄洪量为923立方米/秒。分层放水塔一座,工作水头18.26米,三级取水,级高5米;隧洞总长159.6米,圆形洞径2米,设计流量3.16立方米/秒。
(有关情况详见水库枢纽平面布置图、水库枢纽主要建筑物剖面图、水库工程技术特性表)
2.2.2.1龙潭水库水位~面积、水位~库容关系表(黄海基面)
|
水 位 (m) |
面 积 (万m2) |
库 容 (万m3) |
水 位 (m) |
面 积 (万m2) |
库 容 (万m3) |
|
77.6 |
0.75 |
0 |
92.6 |
54.75 |
342.05 |
|
78.6 |
1.560 |
1.125 |
93.6 |
60.55 |
419.70 |
|
79.6 |
4.325 |
4.038 |
94.6 |
67.05 |
483.50 |
|
80.6 |
6.625 |
9.513 |
95.6 |
74.875 |
554.463 |
|
81.6 |
10.75 |
18.20 |
96.6 |
84.425 |
634.113 |
|
82.6 |
13.875 |
30.513 |
97.6 |
93.460 |
723.05 |
|
83.6 |
16.575 |
45.738 |
98.6 |
103.55 |
821.55 |
|
84.6 |
20.400 |
64.225 |
99.6 |
125.00 |
935.825 |
|
85.6 |
24.675 |
87.763 |
100.6 |
130.925 |
1063.788 |
|
86.6 |
27.745 |
112.838 |
101.6 |
144.15 |
1201.305 |
|
87.6 |
30.125 |
141.638 |
102.6 |
161.95 |
1354.375 |
|
88.6 |
36.775 |
175.088 |
103.6 |
172.55 |
1521.625 |
|
89.6 |
40.625 |
213.878 |
104.6 |
184.225 |
1700.013 |
|
90.6 |
48.675 |
258.438 |
105.6 |
200.45 |
1892.350 |
|
91.6 |
51.900 |
308.725 |
|
|
|
2.2.2.2水库泄流能力曲线
龙潭水库有1#、2#共二座溢洪道,1#及2#溢洪道均为实用堰,堰宽分别为50m及30m,堰项高程相同为99.90m。
龙潭水库二个溢洪道均为开敞式溢洪道,为实用堰流态,因此龙潭水库溢洪道泄流的水力计算公式如下:
q=σsε1mb
H3/2
式中: σs——淹没系数,取σs=1.00;
ε1——侧收缩系数,取ε1=1.00;
m——流量系数(分别取m1=0.44, m2=0.44 ),
b——溢流堰宽度(m);b1=50; b2=30;
H——堰上总水头(m)。
按上述公式经计算龙潭水库泄流能力曲线如下表
龙潭水库泄流能力曲线
|
水位(m)黄基 |
水库库容(万m3) |
堰上水头(m) |
下泄流量(m3/s) |
|
99.9 |
972 |
0.0 |
0 |
|
100.9 |
1105 |
1.0 |
155.8 |
|
101.9 |
1245 |
2.0 |
440.8 |
|
102.9 |
1403 |
3.0 |
809.8 |
|
103.9 |
1575 |
4.0 |
1246.7 |
|
104.9 |
1749 |
5.0 |
1742.3 |
|
105.9 |
1940 |
6.0 |
2290.2 |
龙潭水库于1957年10月动工兴建,1958年12月建成运行。水库运行近50年来,险情不断,水库管理部门根据各个时期的防洪要求和工程的实际情况,针对运行中出现的问题,进行了多次水文复核、维修、加固和扩建。情况如下:
(1)本工程由广西水利厅设计,南宁专署水利处施工,原取名“老桥水库”,后改名龙潭水库。原设计坝址以上集雨面积为70 k㎡,采用50年一遇洪水设计、200年一遇洪水校核的防洪标准。1959年续建坝顶加高至101.60m。
(2)1961年实测得水库集雨面积为75.96 k㎡,比原设计多出5.96 k㎡,沿用原防洪标准进行水文复核,根据复核成果,将大坝加高至102.90m,但当时坝顶宽度仅2.5m。
(3)1963年一副坝被洪水冲跨。1964年区水电厅委托南宁专署进行水文复核,采用100年一遇洪水设计、500年一遇洪水校核的防洪标准。1964年加固内容为:原一副坝改建为2#溢洪道,宽30m;主坝培厚加固,坝顶加宽至3m,坝顶高程102.90m不变。
(4)1971年对水库进行扩建,1#、2#溢洪道堰顶各加高2m,堰顶加高至99.90m高程,总库容由1050万m3增加至1500万m3,有效库容由686万m3增加至902万m3。仍采用100年一遇洪水设计、500年一遇洪水校核的防洪标准,相应洪水位分别为103.02 m和103.75m,均超过坝顶,因而在坝顶加砌一道浆砌石防浪墙,墙顶高程为103.95m。
(5)1973年又一次进行水文复核水库集雨面积为75.94k㎡,采用100年一遇设计、1000年一遇校核的防洪标准。再次加厚坝体,设计开辟3#临时溢洪道,宽30m。由于校核洪水时主坝坝高仍不足,大坝加固时,将土方填平原防浪墙顶,将二副坝坝顶降至低于主坝坝顶1.5m,作为非常洪水保坝措施。
(6)1979年8月再次进行水文复核,采用100年一遇设计、1000年一遇校核的防洪标准,并按区水电厅审批的PMP24小时暴雨800mm进行复核。其中100年一遇设计洪水位为102.16m,1000年一遇校核洪水位102.86m,PMP洪水位104.48m。
复核后由南宁市水电局作除险加固设计,区水电厅于1979年9月27日以(79)水电水管字第117号文《关于南宁市龙潭水库除险加固工程初设的批复》进行批复,工程总概算投资为81.47万元,主要加固内容:主坝加固;放水平管加长;副坝加固;1#、2#溢洪道翼墙加高、3#溢洪道扩建;新建下游跨龙潭河钢筋砼梁板式交通桥一座;新建二层砖混结构管理房。
(7)1981年放水涵放水孔口和斗塞全部换成铸铁座套圆台形砼斗塞。
(8)1987年主坝下游坡靠近左坝肩一侧85.6m高程处,出现约50㎡渗水湿润区,经开挖回填处理,挖除原湿烂土,重新回填粘土,至今未发现渗水现象。
(9)1985年8月下旬库区内普降暴雨,三个溢洪道均排洪,1#、2#溢洪道最大过水深1.59m,三座溢洪道都遭受不同程度的破坏。1986年进行水毁修复加固,主要建设内容有:
①修复和改建1#溢洪道;
②修复和改建2#溢洪道;
③主坝维修,包括:主坝防浪墙维修;主坝上游护坡翻修;放水斜管通气管加高,放水涵管灌浆(包括斜管、平管);
④增设主坝观测设施;
⑤维修溢洪道拦鱼设施。
(10)2001年7月上旬,受榴莲、玉兔台风影响,龙潭水库库区普降暴雨,1#、2#溢洪道均排洪,最大过水深达1.98m,相应库水位101.88m。根据1986年4月水工模型试验提供的水位流量关系曲线来计算,对应下泄最大流量为448 m3/s,其中1#溢洪道相应最大流量为288 m3/s,2#溢洪道相应最大流量为160 m3/s。此次洪水造成1#溢洪道在泄水陡槽末端与消力池连接处冲出一个大坑,桩号在0+113m~0+127m之间,毁坏范围约15m×12m,深约1m。另外,1#溢洪道下泄洪水还漫过主坝下游拦洪墙,淹至主坝脚反滤堆,危及大坝安全。
2001年水毁修复设计,由广西水电学校设计室承担,区水电厅在2002年3月18日以桂水水管〔2002〕第21号文《关于对南宁市龙潭水库1#溢洪道水毁修复设计的批复》进行批复,批复龙潭水库1#溢洪道水毁修复工程概算投资117.29万元。主要建设内容有:
①1#溢洪道水毁修复:修复被洪水毁坏的底板、消力齿墩,完善排水系统。
②主坝下游拦洪墙加高:原拦洪墙顶上用浆砌石加高1m;
③下游河道疏浚:清除下游河床200 m处阻流土石堆。
2001年水毁修复工程由钦州水电工程建筑公司承建,广西桂禹水利水电工程监理公司监理。一期工程为主坝下游拦洪墙加高及下游河道疏浚,于2002年5月27日正式开工, 2002年7月20日竣工。二期工程为1#溢洪道水毁修复,于2002年10月4日正式开工, 2003年1月10日竣工。
(11)2007年12月广西壮族自治区发展和改革委员会以(桂发改农经〔2007〕849号)文对南宁市龙潭水库除险加固工程初步设计进行批复:同意龙潭水库除险加固设计方案;批复概算总投资为3069.96万元,主体工程投资为2066.78万元。该工程分两期实施,其中一期主要建设内容有:主坝坝体及坝基防渗加固、输水设施改建、主坝坝坡及反滤堆修整等;二期工程属南宁市2008年第四季度新增中央预算内投资项目,主要建设内容有:1#、2#溢洪道加固及交通桥工程;1#、2#副坝加固、管理房、进库公路及上坝公路工程和观测设施采购安装等。本次加固已于2010年11月通过主体工程投入使用验收。
2007年4月,广西南宁水利电力设计院完成了《广西南宁市龙潭水库安全鉴定报告书》,广西壮族自治区水利厅组织专家进行了安全鉴定,鉴定为三类坝(坝函〔2007〕1130号)。2007年5月,水利部大坝安全管理中心对鉴定报告进行了核查,同意三类坝鉴定结论。
根据汛前水库安全检查表明,现水库工程存在的主要防洪安全问题有:
(1)防汛道路标准低,上坝道路和进库道路均铺设泥结石。经多年来的使用,现路面损坏较多,路况差,凹凸不平,雨天泥泞湿滑,极难行走,不利于抢险需要。
采取的应急措施主要是:及时申请和安排资金维修,用级配碎石填补,发现问题及时处理并向值班领导汇报。
(2)水库上游那玉河在正常设计水位以下范围内主河道,被江西镇同新村同庆坡、那杜坡村民推土围塘,严重影响水库的防洪调度及枢纽工程的安全度汛。
这一事件已向上级有关部门汇报处理,现已安排专人加强观察,发现问题及时处理并向上级主管部门汇报。
2.3 水文
龙潭水库位于南宁市西约25km的邕江支流龙潭河上,距南宁至凭祥铁路线金鸡火车站5km。本工程库区位于国营七坡林场和江南区吴圩镇那德村及江西镇同新村、木村地界,以坝首为界北面为南宁市沙井金鸡村,库区集雨面积75.94 k㎡。库区内山岭绵延、山岭海拔高程在161~339m之间,坡斜率在1:3~1:5之间,绝大部分属国营七坡林场管辖,林木、灌木丛生,植被良好,山谷大部分开垦为稻田畲地,库区上游有那杜、同兴、华香、那汪、木村、陆村六个村庄,库区上游溪流较多,其中那玉河与老桥河两条支流在坝首处汇合为而成龙潭河,主河流坡降为5.95‰。
龙潭水库气候属亚热带地区,气候温和,雨量充沛。多年平均气温21.6℃,极端最高温度40.4℃,极端最低温度-2.1℃,多年平均降雨量1298.8mm,年最大降雨量1970.1mm(1923年),最小年降雨量为634.5mm(2000年),多年平均蒸发量1200mm,多年平均日照时数为1834.5小时。多年平均风速1.8m/s , 最大风速16.9m/s,风向NW, 极端风速31.5m/s,风向ENE。多年平均最大风速12.12m/s,风向ENE。降雨多集中在每年的5~9月,降雨量约占全年的65%。暴雨以台风雨和峰面雨为主。
2.3.3 水库所在流域水文测站(包括水文自动测报系统)分布,观测项目
龙潭水库未设入库流量观测站,流域内也无流量观测资料,但设有人工雨量观测站,存档有1978年—1994年、1999年—2005年的水位、降雨观测资料整编成果。水库附近(直线距离约25公里)设有南宁水文站,该站自1907年设立,从1921年~2001年有不连续而完整的雨量记录,其观测项目齐全,资料完整、精度高、整编规范,本流域与南宁站临近,地理环境和气候条件相同。
水库报汛采用自下而上,使用防汛值班电话结合移动电话逐级上报方式。由于水库洪水的形成主要是由大气降水尤其是暴雨(台风雨和锋面雨)造成,洪水预报方案,预见期、预报精度等均受气象预报影响。
龙潭水库工程安全监测项目主要有:水库枢纽的巡视检查;主坝变形监测和渗流监测、库水位监测和雨量观测。
(1)巡视检查:龙潭水库的巡视检查分为日常巡视检查、年度巡视检查和特别巡视检查。检查项目和内容包括各坝体、坝基和坝区、输水隧洞、溢洪道、闸门及启闭机、观测设施等。每次巡查必须做出记录,及时整理分析。如有异常现象应进行复查,报告主管部门。
(2)主坝变形监测:仅进行大坝表面变形观测,包括水平位移与竖向位移;位移测点分布在主坝内外坡上,垂直于坝轴线的观测断面与坝轴线的观测纵断面(即视准线位置)交叉结合坝面处,兼竖向位移和横向水平位移观测。工作基点设在坝肩两岸每一纵排测点的延长线上,校核基点设在同一排工作基点的延长线上。共设有3个观测横断面、4条视准线;工作基点8个,校核基点8个;每条视准线上均设3个位移测点,总共设有12个,用全站仪进行人工观测,观测方法为视准线法,观测数据由人工录入工作站进行分析、储存。测量设备及位移桩工况基本完好。
(3)渗压观测:坝体渗压观测点与坝基渗压观测点在一条观测铅直线上。主坝的渗压观测共设12条观测铅直线,按平行于坝轴线可分成4排,上游坝坡一排,下游坝坡3排。按垂直于坝轴线可分成3个观测横断面(与位移观测横断面相结合)。每条观测铅直线上分别设有1个坝体渗压观测点和1个坝基渗压观测点。坝基渗漏采用渗压计观测,坝体侵润线通过测压管内渗压计量测,每个测点都埋有渗压计和测压计各一支,并通过光缆把数据传输到中控室MCU,经计算机软件进行处理后可查看测点的各种信息,包括测点编号、参数等。现监测系统运行正常。
(4)渗流量观测:主坝渗流量采用量水堰法进行观测,观测点设在大坝坝脚反滤体下游渗流集中处,量水堰观测的数据进行分析,能实时监测主坝的运行动态,现监测系统运行正常。
(5)水文测报:在库区上游分别设有绿坛、那审、那匹三个自动雨量遥测站,在主坝放水塔处设有雨量水位站一个。现测报系统部分运行正常。
南宁市防汛抗旱指挥部批准,本水库汛期调度运用计划:主汛期(5.20~8.31)汛限水位99.90米,相应库容为972万立方米;后汛期(9.1~9.30)汛限水位99.90米,相应库容为972万立方米。
(1)1985年8月,水库受到暴雨袭击,三个排洪道均排洪,第一、二排洪道过水深1.59米,三座排洪道均受到不同程度破坏。1988年元月至1989年12月,对龙潭水库进行除险加固,对水毁工程及主坝配套设施均进行加固。
(2)2001年7月上旬,受榴莲、玉兔台风影响,龙潭水库库区普降暴雨,1#、2#溢洪道均排洪,最大过水深达1.98m,相应库水位101.88m。根据1986年4月水工模型试验提供的水位流量关系曲线,对应下泄最大流量为448 m3/s,其中1#溢洪道相应最大流量为288 m3/s,2#溢洪道相应最大流量为160 m3/s。此次洪水造成1#溢洪道在泄水陡槽末端与消力池连接处冲出一个大坑,桩号约在0+113~0+127m之间,毁坏范围约15×12 m,深约1m。另外,1#溢洪道下泄洪水还漫过主坝下游拦洪墙,淹至坝脚反滤堆,危及大坝安全。2002年修复加固,主要修复加固第一排洪道泄槽底板、消力墩,增设底板排水系统等。
水库遇超标准洪水泄洪将会给下游的七坡林场龙潭站、金鸡村七队、九中农场、金鸡火车站、金鸡小学、金鸡村金堂坡、何屋坡、马草坪坡、大岸坡、白坟坡、石埠矿站等500户2500人的生命财产带来严重威胁。并对南昆铁路、南凭铁路干线造成破坏性冲击,对下游从水库至邕江段河道的左右岸剧烈冲刷,由于两岸现冲刷严重,有可能产生较大滑坡,影响两岸村民的安全。将使1.5万余人、2万头牲畜断绝饮水,近万亩农田无水灌溉,造成极大的经济损失和社会影响。
(1) 放水涵若出现严重漏水带走主坝泥土,使涵管上部的坝体塌陷。
(2) 管涌。
(3) 坝体开裂。
(4) 坝体滑坡。
(5) 塌陷。
(6) 发生超设计抗震等级烈度的地震、蓄意炸毁挡水构筑物等恐怖事件致使溃坝。
放水涵严重漏水带走坝体泥土严重危及整个拦水坝体的安全,抢险难度大,有溃坝危险。其他工程隐患在标准洪水内抢险及时,溃坝程度可能性极小。地震为自然灾害无法预测,恐怖事件是社会安全事件,无法预测。
根据水库实际情况,水库库区内发生超过设计的校核标准的洪水时出现大坝裂缝、滑波、管涌以及漏水、大面积散浸、集中渗流、决口等危及大坝安全的可能而导致垮坝。
(2)库水位快速上升超过设计水位、水压骤然增大,坝体发生溃决。
(3)连续强降雨等恶劣天气库水位长期高水位运行、发生管涌或坝体泥土含水饱和发生坝体滑坡抢险失败发生溃坝。
采用梯形断面进口的堰流公式计算:根据坝址河床底高程74.7米,坝顶高程104.7米可知:坝前水深30米,坝址过水断面按梯形计算,顶宽取坝顶长240米、底宽取河床宽100米,溃坝流量为24773 m3/s,即
=0.222×156×4.4272×162.6763=24942 m3/s(
=0.222、
=156、
=4.4272、
=162.6763)。
3.3.3 水库溃坝洪水对下游防洪工程、重要保护目标等造成的破坏程度和影响范围
溃坝洪水是一种立波,在溃坝点附近,其运行的方向一般不受地形的影响,但经过一定的开阔地带后其能量会逐步消失,洪水再向低洼地运行。水库溃坝将会给下游的七坡林场龙潭站、金鸡村七队、九中农场、金鸡火车站、金鸡小学、金鸡村金堂坡、何屋坡、马草坪坡、大岸坡、白坟坡、石埠矿站等500户2500人的生命财产带来严重威胁。并对南昆铁路、南凭铁路干线造成破坏性冲击,对下游从水库至邕江段河道的左右岸剧烈冲刷,由于两岸现冲刷严重,有可能产生较大滑坡,影响两岸村民的安全。将使1.5万余人、2万头大牲畜断绝饮水,近万亩农田无水灌溉,造成极大的经济损失和社会影响。
3.3.4 分析水库溃坝对上游可能引发滑坡崩塌的地点、范围和危害程度
坝址以上库区为七坡林场林地,人烟稀少,大部为风化岩,地质条件较好,构造稳定,不易发生滑坡崩塌。
水库防汛工作的要点是加强汛期运行水位及各项水利工程的观察监测,对高水位运行时要加密观察次数,特别是汛前检查发现有安全隐患的地方,发现有异常情况要及时汇总,逐级上报。
(1)水库水位在汛限水位(98.90米高程)以下时,由大坝管护组对水库枢纽工程进行监测、检查,重点检查放水设施、穿坝涵管、主副坝坡面、坝基、溢洪道等易发生险情部位,每天检查一次,并记录在案,检查情况及时报防汛值班人员,以便上报上级有关部门。若检查发现有不正常情况须立即汇报管理所分管副主任。
(2)当水库水位出现超汛限水位(98.90米高程)时,由有关技术人员对水库枢纽工程进行监测、检查,重点检查放水设施、穿坝涵管、主副坝坡面、坝基、溢洪道等易发生险情部位,坚持每天检查三次,并记录在案,检查情况及时报防汛值班人员,以便上报上级有关部门。若检查发现有不正常情况须立即汇报管理所主任。
(3)当水库水位超过警戒水位 (102.10米高程) 时,及时报告沙井街道办事处、龙潭水库防汛指挥部、江南区防汛指挥部和市防汛指挥部,密切观察水位的变化,由有关技术人员对水库枢纽工程进行检查,重点检查放水设施、穿坝涵管、主副坝坡面、坝基、溢洪道等易发生险情部位,坚持每2小时检查一次,并记录在案,检查情况及时报防汛值班人员,以便上报上级有关部门。若检查发现有不正常情况须立即汇报管理所主任。
(4)当水库水位达到危险水位 (102.80米高程) 时,随时检查,并记录在案,并把检查情况及时报告江南区防汛指挥部和市防汛指挥部,组织抢险队伍进行抢险,同时做好下游群众疏散转移准备工作。
工程险情监测、巡查的部位、内容、方式、频次列表
|
水库水位 |
监测、巡查人员 |
监测、巡查部位 |
内容 |
方式 |
频次 |
|
在汛限水位(98.90米高程)以下时 |
龙潭水库防汛指挥部下设的技术组技术人员及值班人员 |
放水设施、主副坝、溢洪道 |
雨量、水位、库容、大坝水平位移、坝基及下游坡面渗漏、岸坡稳定性 |
龙潭水库雨水情自动测报系统监测与人工 监测相结合 |
每天 一次 |
|
超汛限水位(98.90米高程)时 |
每天 三次 | ||||
|
超过警戒水位 (102.10米高程) 时 |
江南区防汛指挥部及龙潭水库技术人员 |
每两小时一次 | |||
|
达到危险水位 (102.80米高程) 时 |
随时 监测 |
水库工程监测、巡查人员由南宁市水利局、江南区政府有关部门、水库管理所有关技术人员,按本预案要求在汛期到来之前组成工程技术组,负责对水库枢纽工程进行监测、巡查。
工程监测、巡查人员把检查情况做好记录,发现险情,立即报告水库管理单位及水库防汛责任人。经水库防汛责任人复核后写出险情情况及处理意见,上报沙井街道办事处,并及时采取应急处理措施,防止险情发展;经沙井街道办事处复核后,上报江南区防汛指挥部,江南区防汛指挥部上报市防汛指挥部。经抢险专家组现场查看后,确定险情等级、提出抢险措施,有溃坝危险时,江南区防汛指挥部通知有关部门启动相关应急预案。组织调度有关成员单位抢险。
(1)库水位、库容、降雨量;
(2)水库枢纽工程特别是放水设施、主副坝、溢洪道等的运行情况。
工程监测、巡查人员现场检查汇总后,由组长或委派专职人员用无线电话(或移动电话)按水库调度权限逐级向沙井街道防汛指挥机构、江南区政府防汛指挥机构、南宁市防汛指挥机构汇报。上报、通报的频次按汛期运行、警戒、危险、保坝水位等指标进行监测、巡查时,每监测、巡查一次即上报、通报一次。情况紧急时,随时报告。
根据经批准的水库汛期调度运用计划,水库主汛期限制运行水位(98.90米)~正常水位(99.90米),此时溢洪道不泄洪。
当库水位达到警戒水位(102.10米)时,溢洪道堰顶最大过水深度达到2.2米,此时排洪道下泄流量达到508.5立方米/秒(其中第一排洪道317.8立方米/秒、第二排洪道190.7立方米/秒)。由于水库无泄洪闸且输水涵洞泄水能力小(3.16立方米/秒),只能依靠第一、二排洪道自由泄洪。
当库水位达到危险水位(102.80米)时,溢洪道堰顶最大过水深度达到2.9米,此时排洪道下泄流量达到769.6立方米/秒(其中第一排洪道481立方米/秒、第二排洪道288.6立方米/秒)。
当库水位达到保坝水位(103.4米)时,溢洪道堰顶最大过水深度达到3.5米,此时溢洪道下泄流量达到1658.2立方米/秒。只依靠第一、二排洪道不能及时泄洪,此时可采取非常保坝措施,炸开1#副坝或2#副坝增加泄洪。
水库汛期按限制水位为(99.90米)、警戒水位(102.10米)、危险水位(102.80米)、保坝水位(103.40米)指标进行运行调度。
(1)当水库水位在汛限水位(99.90米)以下运行时,由龙潭水库管理所负责水库的运行调度及执行水库的各项度汛措施,加大放水隧洞泄水能力,尽可能把库水位控制在汛限水位(99.90米)以下,运行坚持24小时专人值班,专人检查水库各项水利工程,并记录在案,并把检查情况及时汇报上级有关部门。
(2)当水库水位在汛限水位(99.90米)以上警戒水位(102.10米)以下运行时,由龙潭水库管理所执行江南区政府防汛指挥部下达的运行调度及水库的各项度汛措施,坚持24小时专人值班,专人检查水库各项水利工程,并记录在案,并把检查情况及时汇报上级有关部门。
(3)当水库水位在警戒水位(102.10米)以上运行时,由龙潭水库管理所执行江南区政府防汛指挥部下达的运行调度及水库的各项度汛措施,
气象部门要加强对灾害性天气的监测和预报,水库管理单位要及时收集掌握气象信息,对洪水发生和变化过程做出科学预测,提高防汛调度的科学性和预见性。
发生超标准洪水时,所有抢险队上坝,从土场用编织袋装土运到坝顶,在坝顶抢筑子埝,利用大坝超高蓄洪。
根据不同险情制定相应的抢护措施
(1)坍塌抢险:当水库大坝发生坍塌险情时,沿坍塌部位抛投块石、土沙袋或铅丝(竹)石笼,先从顶冲坍塌严重部位抛护,然后依次进行,抛至稳定坡度为止。
(2)漏洞抢险:大坝背水坡及坡脚附近出现横贯坝体本身或基础的渗流孔洞时,找准漏洞进口,若洞口较小,可急用棉絮、草包或编织袋包等物质填塞,稻草捆扎成软楔堵塞。若洞口较大时,或较多时,用大铁锅反扣或正扣在洞口上,截断水流,用蓬布、网兜覆盖后,再盖压土袋、砂袋,并抛填粘土封堵严实。
(3)渗漏水抢险:当坝体渗水,采用“临水截渗,背水导渗”的方法。在临水坡用透水性小的粘性土料抛筑前戗,也可用蓬布、土工膜隔渗,减少水体入渗。在背水坡用透水性较大的砂石、土工编织物或柴草反滤,通过反滤,不让土料流失,从而降低浸润线,保持坝身稳定。切忌在背水坡用粘土压渗,如此会抬高浸润线,导致渗水范围扩大和险情加剧。
(4)滑坡抢险:坝体滑坡与坍塌抢险基本相同,先在滑坡范围内抢筑导渗沟,同时在滑动体坡脚外缘抛块石或砂袋等作为临时加固坝脚,以阻止继续滑动。
(5)陷坑抢险:大坝发生陷坑时,使用草袋、麻袋或编织袋装粘土直接填实陷坑,必要时可再抛粘性土。
(6)裂缝抢险:当坝体出现裂缝,漏水严重时,沿裂缝每隔3~5米挖掘竖井截堵,深度低于裂缝0.3~0.5米,底宽至少0.5米,并在临水面做前戗截流。背水坡有漏水时,还应同时在背水坡做好反滤导渗。
(7)风浪抢险:当水库产生风浪时,对大坝产生严重冲掏,影响大坝安全。采用草席、草捆等铺在大坝临水坡上,减轻冲刷。也可用编织袋、塑料膜、用竹竿撑开后铺在水面上,减轻浪涌。
(8)防漫溢抢险:当遭遇超标洪水或根据预报,有可能超过坝顶时,防漫溢溃坝,采取抢险措施:
土料子埝。在坝顶临水坡顶部,距离坝肩0.5~1.0米处筑埝。埝坝宽0.5~1.0米。边坡不陡于1:1,埝顶应超过推算最高水位。在抢筑时,沿子埝轴线先开挖一条结合槽,槽深约0.2米,底宽约0.3米左右,边坡1:1,清除子埝底的草皮、杂物,并将表层刨松或犁成小沟,以利新老土结合。土料宜选用粘性土。
土袋子埝。用草袋、编织袋等,装土七、八成满,不能绳扎袋口,以利铺砌。铺砌土袋距临水坝肩0.5~1.0米,袋口朝背水面,袋缝错层铺砌。临水坡形成1:0.5,埝顶应超过推算洪水最高水位。
桩子埝。采用木桩在临水坝肩0.5~1.0米处先打钉木桩一排,桩长根据埝高确定,稍径5~10厘米,木桩入土深约为桩长的1/3。桩距离0.5~1米。将树枝、木板等用铅丝或麻绳绑扎于木桩后,在后面堆砌石块粘土。
超标准洪水抢险:一旦出现超标准洪水险情,除采用防漫溢的办法抢筑子埝外,人为破开第二副坝,适当地进行分洪。
受威胁区域内的人员及财产转移任务由南宁市江南区政府负总责,成立由民政、农业、交通、公安、卫生、物资等部门参加的镇应急转移指挥部,并根据制定的转移应急预案,全面负责群众转移、安置、救灾、抚恤等工作,有关单位分别负责辖区内的群众安全转移与安置工作。
水库险情发生时,及时做好下游人员、财产的转移,保证人民生命财产的安全。根据险村、险户、人口的分布分别向不同的地点、方向转移:
(1)七坡林场龙潭站、金鸡村七队、九中农场向狮子岭撤离。
(2)金鸡火车站、金鸡小学、金鸡村金堂坡、何屋坡、石埠矿站向金鸡车站的大六岭撤离。
(3)金鸡村马草坪坡、大岸坡、白坟坡向沽洒岭撤离(详见影响区域转移线路和安置点布置图)。
转移警报发布条件:
(1)遭遇超标准洪水,确认将发生洪水漫顶时;
(2)遭遇超设防标准地震或战争恐怖袭击等造成坝体发生结构性破坏,无法抢护,或对渗漏等险情抢护失败、无能力遏制漏水扩大时。
(3)依据已发生的洪水量级,进行水库调洪计算,水库泄量超过下游河道安全泄量,对下游造成严重危害时。
转移警报发布形式:
撤离警报利用有线、无线、视传、声传、送达等多种方法。
转移警报发布权限:
由水库防汛应急抢险指挥部统一发布。
转移警报送达方式:
由水库防汛指挥部授权采用广播、电视、手机短信、报警器或鸣笛等手段进行预警。撤离预见期较短时,水库防汛应急抢险指挥部可采用分阶段分区域发布方法,实施部分提前撤离。受影响区各村委会负责人通过警报信号约定方式确保逐户通知到位,保证不漏一村一户一人,按转移方案组织转移。
人员和财产转移后的警戒措施由江南区公安分局具体负责,同时负责抢险期间枢纽工程建筑物、财产等的安全保卫工作。
龙潭水库成立由江南区党、政、军各级各部门组成的南宁市龙潭水库防汛指挥部,实行统一指挥、分级(部门)负责的防汛工作组织形式,统一领导龙潭水库的防洪抢险、抗灾、减灾及灾后恢复工作,成员名单如下:
指 挥 长: 江南区人民政府区长
副指挥长: 江南区人民武装部部长
中共江南区委宣传部部长、政府副区长
江南区人大常委会副主任
江南区人民政府副区长、公安分局局长
江南区人民政府副区长
江南区政协副主席
南宁市龙潭水库管理所主任
成 员: 江南区人民政府办公室主任、应急管理办公室主任
江南区人民政府办公室副主任
江南区发展和改革局局长
江南区经济贸易和信息化局局长
江南区教育局局长
江南区民政局局长
江南区财政局局长
江南区人力资源和社会保障局局长
江南区环境保护局局长
江南区住房和城乡建设局局长
江南区城市管理局局长
江南区交通运输局局长
江南区农林水利局局长
江南区卫生及计划生育局局长
江南区审计局局长
江南区安全生产监督管理局局长
江南区统计局局长
江南区食品药品监督管理局局长
南宁市江南区工商质监局局长
江南区机关事务管理局局长
江南区水库移民工作管理局局长
沙井街道办事处主任
南宁市公安局江南分局局长
南宁市交警支队五大队大队长
南宁市国土资源局江南分局局长
南宁供电局江南分局局长
指挥部的职责为:掌握水情、工情,确定洪水调度方案;部署并检查防汛的准备工作,下达工程运行指令;确定应急措施,监督和检查防汛命令的执行。指挥长的职能是:负责抗洪抢险工作的全面领导和指挥,行使最后的决策权,确定抢险救灾的实施方案。
指挥部下设办公室,负责防汛日常工作,办公室主任由龙潭水库主任曾祥伟担任,副主任由龙潭水库副主任韦学锋担任;成员由龙潭水库职工黄彦妮、黄卫英、熊雪辉组成,办公室电话:0771-2376668。
指挥部下设10个工作组:
(1)综合组:负责协调指挥各部门的工作,做好汛情、险情及指令的上传下达,以及灾情的统计汇报、文件的拟订等工作。
组长由政府副区长担任,副组长由政府办主任和农业林业水利局局长担任,成员由城区政府办、统计局、沙井街道办及农林水利局抽调人员组成。
(2)工程技术组(抢险专家组):负责汛情、险情预测分析和指导,提供防洪工程险情处置方案。
组 长:李伟进
副组长:覃晓杰、岑常军、曾祥伟
组 员:周嘉、梁水新、城区农林水利局(技术人员)
组长南宁市水利局局长担任,副组长由市水利工程管理站副站长、水库管理所主任担任,成员由市水利局、水库管理所、城区农林水利局抽调工程技术人员组成。
抢险队伍指挥组:负责组织指挥抢险队伍进行抢险救灾。
组长由城区人民武装部部长担任,副组长由城区农林水利局局长、沙井街道武装部长担任,抢险队员由江南辖区内机关单位、沙井街道办、各村委的基干民兵、团员、青年组成。(详见龙潭水库防洪抢险救援队伍负责人通讯联络表、龙潭水库防洪指挥部领导成员通讯联络表)。
(4)物资后勤服务组:主要负责各种抢险物资和抢险人员及受灾人员应急伙食的筹措和保障。
组长由城区政府分管财政的副区长担任,副组长由城区财政局局长、民政局局长、机关事务局局长、沙井街道党工委书记担任,成员由城区农业林业水利局、财政局、民政局、机关事务局、沙井街道办抽调人员组成。
(5)交通治安组:负责搞好交通安全和社会治安,确保抢险物资、车辆畅通和社会稳定。
组长由城区政府副区长、公安分局局长担任,副组长由市交警五大队大队长、江南区城市管理局局长、沙井街道办主任及沙井派出所所长担任,成员由城区政法委、公安、交警、城管、沙井街道办及沙井派出所抽调人员组成。
(6)医疗救护组:负责抢救伤病员和指导受灾单位搞好自救互救及清除灾后疫源。
组长由城区政府分管卫计的副区长担任,副组长由城区卫计局局长、沙井卫生院院长担任,成员由江南区卫计局及沙井卫生院抽调人员组成。
组长由区委宣传部部长担任,副组长由城区宣传部副部长、沙井街道党工委副书记担任,成员由江南宣传部、沙井街道办抽调人员组成。
组长由城区政府副区长担任,副组长由沙井街道武装部长担任,成员由沙井街道办抽调人员组成。
(9)通信保障组:负责抗洪抢险必需的通信设备、技术等的保障工作。
组长由城区人民政府常务副区长担任,副组长由城区政府办副主任、沙井街道办主任担任,成员由城区农业林业水利局、沙井街道办及水库管理所抽调人员组成。
(10)督查组: 负责检查督促各组及各部门、各单位的抗洪抢险工作。
组长由城区政府办督查室负责人担任,副组长由审计局副局长担任,成员由政府办督查室、城区监察局、审计部门抽调人员组成。
当龙潭水库在汛限水位以下运行时,由龙潭水库管理所审批和调度工作。龙潭水库管理所分工如下:
(1)曾祥伟负责管理所内部防汛抢险的全面工作。
(2)韦学锋负责管理所具体防汛工作,分管防汛巡查值班抢险和物资后勤保障工作,正常情况下分管安全、管护工作。
龙潭水库管理所各职能部门:
(1)防汛办公室
主 任:曾祥伟
副主任:韦学锋
成 员:黄彦妮 、熊雪辉(兼)
职 责:负责防汛办公室、防汛值班室、内外联络、通讯设备的调配工作;负责及时收集各库水雨情、工程情况和险情的报告,及时向水库主任、副主任汇报水库水情,按急报—续报—核报程序进行,并做好请示、上报工作;编写大事记,起草抢险文件、防汛宣传等工作;负责抢险队伍的后勤服务工作。
(2)工程抢险技术组
组 长:曾祥伟
组 员:韦学锋(兼)、梁水新
职 责:掌握水库工程建筑物的运行状况,根据水情预报及变化,对可能出现的险情提出分析意见和采取措施,出现险情时制定抢险技术方案。黄芬卉负责牛头水库全面工作。
(3)工程巡逻组
组 长:梁水新(兼)
副组长:黄磊、雷恒烈、韦国帆、陈奇、孙向远、莫文政、苏斌
职 责:正常情况由管护组巡逻检查,值班电话2376668;非常时期主坝排洪道由均管护组巡逻。按本防洪预案的要求进行险情巡逻,水位在危险水位以上时,由水库防汛指挥部负责调配。
(4)财务物资供应组
组 长:黄卫英
组 员:覃晓美、熊雪辉(兼)
职 责:采购、保管及调拨防汛抢险物资等工作。
(5)机电抢修组
组 长:雷恒烈(兼)
组 员:莫文政(兼)、陈奇(兼)
职 责:负责机电的正常供应及抢险现场所需的机电、管道设备安装运行。
(6)后勤组
组 长:赵淑青
组 员:熊雪辉(兼)、邓来庆、李晓燕、
6.1.3 指挥调度分工
水库未出现险情时,在正常水位库99.9m及以下时,由龙潭水库管理所指挥部调度,服从上级防汛指挥部调度。
水库水位99.9m以上或出现险情时,由南宁市龙潭水库防汛指挥部调度指挥。
防汛抢险队伍在整个防洪抗洪斗争中发挥重要作用,本预案防汛抢险队伍由抗洪抢险应急分队和抢险队两部分组成。抗洪抢险应急分队由江南辖区内厂矿、机关单位、街道办组成。抢险队由沙井街道办各村委村民组成。在紧急情况下,并请求当地驻军参加抢险,组成勇敢善战的防汛抢险队伍。当水库遇到险情时,由龙潭水库防汛指挥部统一调度,以迅速的行动抢险加固水利工程,保证水库工程安全(详见防洪抢险救援队伍负责人通讯联络详见龙潭水库防洪抢险救援队伍负责人通讯联络表、龙潭水库防洪指挥部领导成员通讯联络表)。
水库应急抢险专家组组成:
水库应急抢险专家组组长由南宁市水利局局长担任、副组长由市水利工程管理站副站长、城区农林水利局局长、水库管理所主任担任,成员由市水利局水库应急抢险专家、城区农林水利局、水库管理所抽调工程技术人员组成。
为了保障防汛抢险应急需要,具体落实各有关单位和村委负责储备一定数量的物资等,急需时由南宁市龙潭水库防汛指挥部统一先调用后结算,在汛情险情特急的情况下南宁市龙潭水库防汛指挥部有权调用储备物资和设备。为了满足龙潭水库防汛要求,在水库库区储备必要的防汛物资。
(一)为了保障防洪抢险应急需要,各有关部门(单位)必须按照本预案规定的数量储备(或经营性储备)抗洪抢险物资、机械设备。凡抢险急需调用的物资、器材,报龙潭水库防汛抗旱指挥部领导批准后,“先调用,后结算”。各有关单位抢险物质储备情况(详见抢险物资储备表一、表二)。
(二)考虑到险情的突发性,目前龙潭水库管理所已配备的防汛物资有:冲锋舟2艘、YAMAHA发电机2台、编织袋2500只、彩条布200平方米、10#铁线5扎、铁铲450把、铲柄450条、救生衣25件(以上物资储备在龙潭水库管理所坝顶物资仓库)、中砂470立方米、砾石120立方米(储备在龙潭水库大坝东坝肩)。
(1)从那洪-古思-金鸡X004县道到龙潭水库;
(2)经过X013县道(南扶二级路)-X004县道(吴圩方向)到7K+500转龙潭水库进库路。
水库配程控电话二部,紧急情况(如程控电话不通)时,可用移动电话向沙井街道办、江南区政府、南宁市水利局等有关部门汇报。
在水库管理所装有程控电话、移动电话等。相关单位防汛值班电话见附表。
如果出现超标准洪水等有可能引发重大突发事件,危及大坝的安全时,统一由南宁市龙潭水库防汛抢险指挥部及时向社会发布紧急状态,可采取以下预警措施:一是利用宣传媒体通过有线广播和电视台来发布;二是采用流动车宣传沿着水库下村寨进行广播;三是组成预警小组采用话筒深入到偏僻的村寨进行宣传。按照“水库应急预案”立即到位上岗,全力投入抗洪抢险,尽最大能力确保大坝的安全,减少洪水的危害,把下游人民群众的生命财产安全放在首位,力争把损失降到最低限度。
龙潭水库库区备有发电机、汽柴油、防汛汽车(车牌号桂ALT505)等。水库防汛所有信息一律经过市防汛抗旱指挥部、龙潭防汛指挥部审批后才能宣传报道。
交通、卫生、饮食、安全等其它保障由防汛指挥系统各职能工作组专人负责。
启动条件:
(1)气象部门预报降水将导致水库水位超过汛期限制水位(98.90m)小于警戒水位(102.10m)。将导致水库溢洪,但下泄流量小于下游河道安全泄量。
(2)水库工程出现险情,有可能危及工程或下游安全。
响应行动:
(1)龙潭水库管理所领导带班值守,密切关注雨情、水情、工程险情及下泄流量的发展变化,做好汛情的预测与分析,做好上传下达。
(2)龙潭水库防洪抢险指挥部向下游影响区域群众发布大坝安全状况及水库泄流通报,提醒做好转移准备。各成员单位做好应急准备。
(3)龙潭水库管理所组织好工程抢险工作。
启动条件:
(1)气象部门预报降水将导致水库水位达到警戒水位(102.10m)以上危险水位(102.80m)以下。水库溢洪,下泄流量大于下游河道安全泄量。
(2)水库工程出现较大险情,危及工程或下游安全。
响应行动:
(1)龙潭水库防洪抢险指挥部副指挥长坐镇指挥,做好信息上报。
(2)水库管理所领导带班值守,密切关注雨情、水情、工程险情及下泄流量的发展变化,做好汛情的预测与分析,做好上传下达。
(3)龙潭水库防洪抢险指挥部提前向下游影响区域群众发布大坝安全状况及水库泄流通报,做好转移准备工作。指挥部各成员单位按照指挥部的部署和各自的职责开展工作,
(4)龙潭水库防洪抢险指挥部组织好工程抢险工作。
启动条件
(1)气象部门预报降水将导致水库水位快速上升达到危险水位(102.80m)以上保坝水位(103.40m)以下。溢洪达到设计下泄流量。
(2)水库工程出现重大险情,有溃坝的可能。
响应行动
(1)龙潭水库防洪抢险指挥部指挥长坐镇指挥,做好信息上报。
(2)水库管理所领导、防洪抢险指挥部副指挥长带班值守,密切关注雨情、水情、工程险情及下泄流量的发展变化,做好汛情的预测与分析,做好上传下达。
(3)龙潭水库防洪抢险指挥部发出下游影响区域群众转移的警报,按预案组织影响区域群众转移工作。指挥部各成员单位按照指挥部的部署和各自的职责开展工作,
(4)驻地部队做好抗洪抢险救灾工作。
(5)南宁市江南区人民政府组织好工程抢险工作。
启动条件
(1)气象部门预报降水将导致水库水位快速上升达到保坝水位(103.40m)。溢洪达到设计下泄流量。
(2)挡水建筑物:如发生严重的大坝裂缝、滑坡、管涌以及漏水,大面积散浸、集中渗流、决口等危及大坝安全的极可能导致垮坝的险情。泄水建筑物:输水洞严重断裂或堵塞,大量漏水浑浊、启闭设备失灵等极可能危及大坝安全的险情。地震:导致大坝严重裂缝、基础破坏等危及大坝安全的险情。山体滑坡:泥石流及地质灾害导致水库水位严重雍高等危及大坝安全的险情。人为破坏危及大坝安全的恐怖事件。上级宣布进入紧急备战状态。
响应行动
(1)龙潭水库防洪抢险指挥部指挥长及南宁市江南区政府主要负责人坐镇指挥,做好信息上报。
(2)水库管理所领导、防洪抢险指挥部副指挥长带班值守,密切关注雨情、水情、工程险情及下泄流量的发展变化,做好汛情的预测与分析,做好上传下达。
(3)龙潭水库防洪抢险指挥部发出下游影响区域群众转移的警报,并全力组织影响区域群众转移。
(4)龙潭水库防洪抢险指挥部各成员单位全力投入抗洪抢险救灾工作。
(5)驻地部队全力投入抗洪抢险救灾工作。
(6)必要时,请求上级政府支援抗洪抢险救灾工作。
当灾情得到有效控制,灾区群众生产生活处于稳定状态时结束《应急预案》。
启动和结束《应急预案》的决策机构是龙潭水库防洪抢险指挥部,由其通知有关部门、单位、并上报市防汛抗旱指挥部备案。
Ⅰ级应急响应的启动和结束,由龙潭水库管理所、江南区防汛指挥部、江南区农林水利局的主要领导或以上级别的领导主持会商,报请南宁市龙潭水库防汛指挥部指挥长批准实施Ⅰ级应急响应的启动和结束。
Ⅱ级应急响应的启动和结束,南宁市龙潭水库防汛指挥部副指挥长或以上级别的领导主持会商,报请南宁市龙潭水库防汛指挥部指挥长批准实施Ⅱ级应急响应的启动和结束。
Ⅲ级应急响应的启动和结束,南宁市龙潭水库防汛指挥部指副挥长主持会商,报请行政责任人同级政府主要领导批准实施Ⅲ级应急响应的启动和结束。
Ⅳ级应急响应的启动和结束,南宁市龙潭水库防汛指挥部指副挥长批准实施,通报行政责任人同级政府主要领导。
8 宣传、培训与演练
应急预案启动时由水库防汛指挥部授权给广播电视等部门利用宣传媒体通过电视、电台、手机信息向受影响区域及时宣传防洪注意安全事项,以及发布大坝安全状况、雨情、水清、工程险情及水库泄流等情况。受影响区域村寨村屯等偏僻地方则采用流动车宣传下村寨进行广播或采用话筒进行宣传防洪注意安全事项,以及发布大坝安全状况、雨情、水清、工程险情及水库泄流等情况。
由水库防汛指挥部组织受影响区域群众及水库防汛指挥部各成员单位进行应急防洪抢险培训。使政府与相关职能部门、水库主管部门、水库管理所职工、公众了解预警信息发布、应急事项处置、群众转移等事项的处理流程,充分理解测离的信号、过程和地点。
培训工作应结合实际,采取多种组织形式,汛前至少组织一次培训。同时,培训工作应做到合理规范课程、考核严格、分类指导,保证培训工作质量。
组织抗洪抢险和疏散撤离灾区群众的演练,以检验、完善和强化应急准备和应急响应能力。演练结束后应进行总结。
专业抢险队伍必须针对当地易发生的各类险情,有针对性地进行抗洪抢险演练及搜救演练。
1、水库枢纽平面布置图;
2、水库枢纽主要建筑物(主、副坝,一、二排,输水管等)剖面图;
3、影响区域转移线路和安置点布置图
4、群众应急转移及保障组织机构例图
1、水库工程技术特性表;水位~库容曲线等表
2、龙潭水库防洪抢险救援队伍负责人通讯联络表;
3、龙潭水库防洪指挥部领导成员通讯联络表;
4、龙潭水库管理所通讯联络表
5、抢险物资储备表一;
6、抢险物资储备表二;
3













|
龙潭水库工程技术特性表 | ||||||
|
|
|
|
|
高程系统:黄海基面 | ||
|
水库名称 |
龙潭水库 |
主坝 |
坝型 |
均质土坝 | ||
|
建设地点 |
南宁市江南区沙井镇 |
坝顶高程 |
104.70m | |||
|
所在河流 |
邕江支流龙潭河 |
最大坝高 |
30m | |||
|
流域面积(km2) |
75.94km2 |
坝顶长度 |
240m | |||
|
管理单位名称 |
南宁市龙潭水库管理所 |
坝顶宽度 |
5m | |||
|
主管单位名称 |
南宁市水利局 |
坝基地质 |
泥岩 | |||
|
竣工日期 |
1958.12 |
坝基防渗措施 |
粘土截水槽 | |||
|
工程等别 |
中型水库 |
防浪墙顶高程 |
105.30m | |||
|
地震基本烈度/抗震设计烈度 |
Ⅵ度/Ⅵ度 |
副坝(1#/2#) |
坝型 |
均质土坝 | ||
|
多年平均降水量 |
1298.8mm |
坝顶高程 |
104.00 m | |||
|
设计 |
洪水标准 |
100年 |
坝顶长度 |
63/64.7m | ||
|
洪峰流量 |
645m3/s |
坝顶宽度 |
5m | |||
|
3日洪量 |
/ |
正常溢洪道(1#/2#) |
型式 |
开敞式实用堰 | ||
|
校核 |
洪水标准 |
1000年 |
堰顶高程 |
99.90 m | ||
|
洪峰流量 |
985m3/s |
堰顶净宽 |
50/30m | |||
|
3日洪量 |
/ |
闸门型式 |
无 | |||
|
水库特性 |
水库调节特性 |
年调节 |
闸门尺寸 |
无 | ||
|
校核洪水位 |
103.16m |
最大泄量 |
573/350m3/s | |||
|
设计洪水位 |
102.38m |
消能型式 |
消力池底流消能 | |||
|
正常蓄水位 |
99.90m |
启闭设备 |
无 | |||
|
汛限水位 |
98.90m |
非常溢洪道 |
型式 |
自溃式土堤 | ||
|
死水位 |
84.90m |
堰顶高程 |
99.90m | |||
|
总库容 |
1380万m3 |
堰顶净宽 |
50 m | |||
|
调洪库容 |
476万m3 |
最大泄量 |
417 m3/s | |||
|
兴利库容 |
902万m3 |
消能型式 |
消力池底流消能 | |||
|
死库容 |
70万m3 |
|
发电流量 |
无 | ||
|
装机容量 |
无 |
其他泄洪设施 |
放水塔 | |||
|
工程运行 |
历史最高库水位及发生日期 |
101.866m、2001年7月3日 | ||||
|
历史最大入库流量及发生日期 |
/ |
备注 |
| |||
|
历史最大出库流量及发生日期 |
/ | |||||
|
龙潭水库现状库区水位~面积、水位~库容关系表(黄海基面) | |||||
|
水 位 |
面 积 |
库 容 |
水 位 |
面 积 |
库 容 |
|
(m) |
(万m2) |
(万m3) |
(m) |
(万m2) |
(万m3) |
|
77.6 |
0.75 |
0 |
92.6 |
54.75 |
342.05 |
|
78.6 |
1.56 |
1.125 |
93.6 |
60.55 |
419.7 |
|
79.6 |
4.325 |
4.038 |
94.6 |
67.05 |
483.5 |
|
80.6 |
6.625 |
9.513 |
95.6 |
74.875 |
554.463 |
|
81.6 |
10.75 |
18.2 |
96.6 |
84.425 |
634.113 |
|
82.6 |
13.875 |
30.513 |
97.6 |
93.46 |
723.05 |
|
83.6 |
16.575 |
45.738 |
98.6 |
103.55 |
821.55 |
|
84.6 |
20.4 |
64.225 |
99.6 |
125 |
935.825 |
|
85.6 |
24.675 |
87.763 |
100.6 |
130.925 |
1063.788 |
|
86.6 |
27.745 |
112.838 |
101.6 |
144.15 |
1201.305 |
|
87.6 |
30.125 |
141.638 |
102.6 |
161.95 |
1354.375 |
|
88.6 |
36.775 |
175.088 |
103.6 |
172.55 |
1521.625 |
|
89.6 |
40.625 |
213.878 |
104.6 |
184.225 |
1700.013 |
|
90.6 |
48.675 |
258.438 |
105.6 |
200.45 |
1892.35 |
|
91.6 |
51.9 |
308.725 |
|
|
|
|
龙潭水库泄流能力曲线 | |||
|
水 位 (m,黄基) |
水库库容(万m3) |
堰上水头(m) |
下泄流量(m3/s) |
|
99.9 |
972 |
0 |
0 |
|
100.9 |
1105 |
1 |
155.8 |
|
101.9 |
1245 |
2 |
440.8 |
|
102.9 |
1403 |
3 |
809.8 |
|
103.9 |
1575 |
4 |
1246.7 |
|
104.9 |
1749 |
5 |
1742.3 |
|
105.9 |
1940 |
6 |
2290.2 |
|
设计洪水成果表 | ||||
|
频率 |
0.10% |
0.20% |
1% |
3.33% |
|
洪峰流量(m3/s) |
985 |
916 |
645 |
510 |
|
洪水总量W24h(万m3) |
2474 |
1843 |
1554 |
1304 |
|
龙潭水库洪水调节计算成果表 | |||
|
洪水频率(%) |
最高洪水位(m) |
洪峰流量(m3/s) |
最大下泄流量(m3/s) |
|
3.33 |
102.03 |
510 |
489 |
|
1 |
102.38 |
645 |
618 |
|
0.2 |
102.95 |
916 |
832 |
|
0.1 |
103.16 |
985 |
489 |
|
龙潭水库防洪指挥部领导成员通讯联络表 | |||
|
单位 |
姓名 |
电话 |
备注 |
|
江南区人民政府区长 |
黄海韬 |
4952699 |
|
|
江南区人民武装部部长 |
马建业 |
5566581 |
|
|
中共江南区委宣传部部长、政府副区长 |
李秋果 |
4801853 |
|
|
江南区人大常委会副主任 |
马文忠 |
4837032 |
|
|
江南区人民政府副区长、公安分局局长 |
寻湘涛 |
4814889 |
|
|
江南区人民政府副区长 |
韦新培 |
4885115 |
|
|
江南区政协副主席 |
梁宏添 |
4807169 |
|
|
南宁市龙潭水库管理所主任 |
曾伟祥 |
2376668 |
|
|
江南区人民政府办公室主任、应急管理办公室主任 |
陆伟亮 |
4820036 |
13878823168 |
|
江南区人民政府办公室副主任 |
覃伟宁 |
4853501 |
13978183618 |
|
江南区农林水利局局长 |
岑常军 |
4855777 |
13878818845 |
|
沙井街道办主任 |
黎春著 |
2349283 |
13788300900 |
|
|
|
|
|
|
|
|
|
|
|
|
|
|
|
|
|
|
|
|
|
|
|
|
|
|
|
|
|
|
|
|
|
|
|
|
|
|
|
|
|
|
|
|
|
|
南宁市龙潭水库管理所通讯联络表 | |||
|
防汛值班电话 |
0771-2376668 | ||
|
曾祥伟 |
13317801773 |
雷恒烈 |
13607815832 |
|
韦学锋 |
13471032456 |
苏斌 |
13657874529 |
|
黄彦妮 |
18172001502 |
莫文政 |
13978849207 |
|
覃晓美 |
13878134960 |
李小燕 |
13517882677 |
|
黄卫英 |
15277114930 |
黄磊 |
13977177584 |
|
梁水新 |
18677113782 |
孙向远 |
18878730811 |
|
赵淑青 |
13377186093 |
邓来庆 |
15994420563 |
|
熊雪辉 |
18587716496 |
韦国帆 |
15977776297 |
|
|
|
陈奇 |
13807886837 |
|
黄芬卉 |
13878817235 |
|
|
|
(牛头水库) | |||
|
龙潭水库防洪抢险救援队伍负责人通讯联络表 | ||||||
|
序号 |
单 位 |
人 数 |
负责人 |
电话 |
集中地点 |
备注 |
|
1 |
智和村 |
200 |
黄保养 |
2349173 |
智和村村委 |
抢险人员接到通知后,30分钟内必须在集中地点待命 |
|
13768410923 | ||||||
|
2 |
乐贤村 |
300 |
黄寿维 |
15994302131 |
乐贤村村委 | |
|
3 |
金鸡村 |
200 |
卢沛清 |
13878809478 |
金鸡村村委 | |
|
4 |
杨 村 |
400 |
杨永洁 |
13978875877 |
杨村村委 | |
|
5 |
同乐村 |
500 |
黄如信 |
2349078 |
同乐村村委 | |
|
13307818865 | ||||||
|
合计 |
|
1600 |
|
|
| |
|
龙潭水库抢险物资储备表(一) |
||||||||||||||
|
编号 |
储备 单位 |
编织袋 |
麻袋 |
铁铲 |
锄头 |
防汛小客车 |
冲锋舟 |
救生衣 |
彩 条 布 |
土 工 布 |
粗沙 |
碎石 |
10#铁线 |
|
|
只 |
只 |
把 |
把 |
辆 |
台 |
件 |
平方米 |
平方米 |
立方米 |
立方米 |
扎 |
|||
|
1 |
龙潭水管理所 |
1900 |
1000 |
430 |
/ |
1 |
2 |
25 |
200 |
1000 |
48 |
49 |
5 |
|
|
2 |
江南区防汛办 |
84000 |
28000 |
1100 |
600 |
/ |
5 |
500 |
/ |
/ |
/ |
/ |
/ |
|
|
合 计 |
85900 |
29000 |
1530 |
600 |
1 |
7 |
525 |
532 |
1000 |
48 |
49 |
5 |
||
|
龙潭水库抢险物资储备表(二) | |||||
|
序号 |
储备单位 |
物质名称 |
数量 |
联系人及电话 |
备注 |
|
1 |
仁义村 |
锄头、铲 |
各100 |
韦遂达4980515 |
|
|
泥箕、扁担 |
各300 |
13878850653 | |||
|
2 |
南乡村 |
锄头、铲 |
各75 |
李远来4861270 |
|
|
泥箕、扁担 |
各l50 |
13878178763 | |||
|
3 |
邕津村 |
锄头、铲 |
各75 |
温宗彪 |
|
|
泥箕、扁担 |
各l50 |
13687719387 | |||
|
4 |
同乐村 |
锄头、铲 |
各100 |
黄如信2349078 |
|
|
泥箕、扁担 |
各300 |
13307818865 | |||
|
5 |
三津村 |
锄头、铲 |
各100 |
黄明养 |
|
|
泥箕、扁担 |
各300 |
4869696 | |||
|
6 |
智和村 |
锄头、铲 |
各50 |
黄保养 |
|
|
2349173 | |||||
|
泥箕、扁担 |
各100 |
13768410923 | |||
|
7 |
金鸡村 |
锄头、铲 |
各50 |
卢沛清13878809478 |
|
|
泥箕、扁担 |
各100 | ||||
|
8 |
乐贤村 |
锄头、铲 |
各75 |
黄寿维15994302131 |
|
|
泥箕、扁担 |
各100 | ||||
|
9 |
杨村 |
锄头、铲 |
各100 |
杨永洁13978875877 |
|
|
泥箕、扁担 |
各200 | ||||
|
10 |
沙井街道武装部 |
锄头、铲 |
各20 |
磨建华15077125356 |
|
|
泥箕、扁担 |
各60 | ||||
|
11 |
南站大道中石油银沙加油站 |
柴油 |
3吨 |
|
|
分享按钮









